Обяви 0 За нас Контакти
Продава ЗЕМЕДЕЛСКА ЗЕМЯ
област Пловдив, гр. Куклен
873 510 €
1 708 437.06 лв.

(54 594 €, 106 776.58 лв./дка)
Цената е с включено ДДС
История на цената
Коригирана в 9:09 на 11 март, 2026 год.
Обявата е посетена 405 пъти.
Площ:
16 дка
Начин на ползване:
Нива
Категория:
4

Описание на имота:


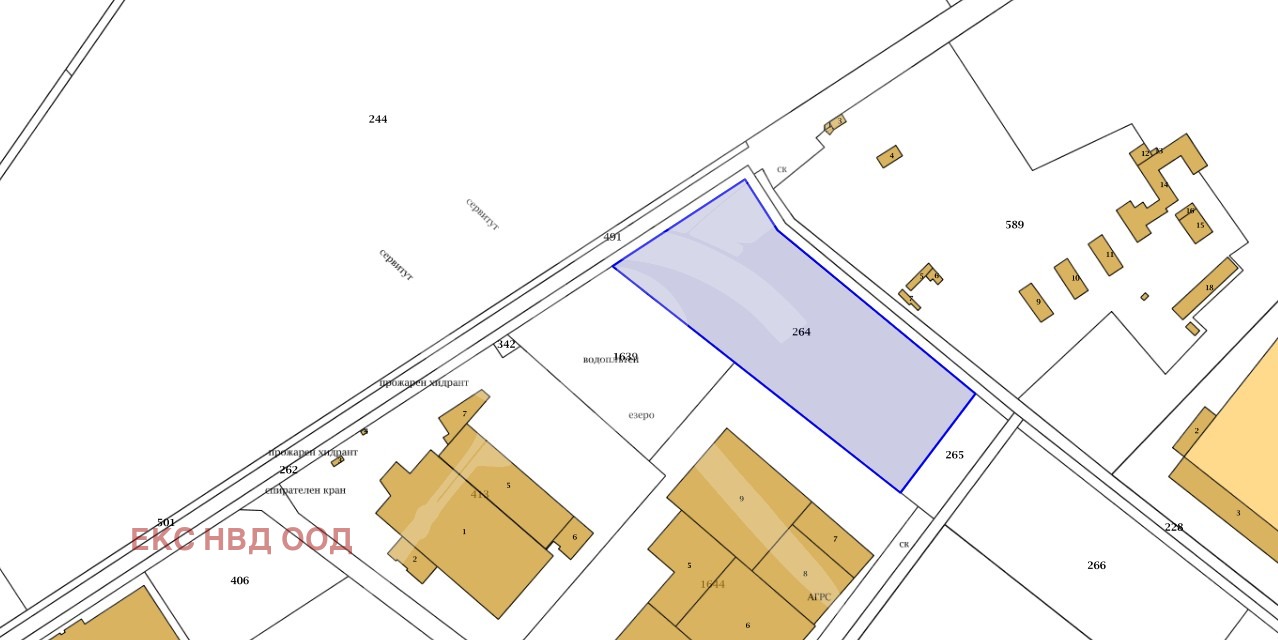
Компания `Х` представя на Вашето внимание УПИ в град Куклен.

МЕСТОПОЛОЖЕНИЕ: Град Куклен е малък, но живописен град в Южна България, разположен в област Пловдив, на юг от самия град Пловдив. Въпреки че носи статут на град, Куклен дълго време е бил село и все още носи този дух и характер. Той е известен с красивата си природа, богатата история и близостта до Родопите.

РАЗПРЕДЕЛЕНИЕ: Квадратурата на парцела е 15 882 кв. м.

Заповядайте да Ви го покажем. Използвайки нашите услуги Вие ще превърнете закупуването на новия си дом в едно приятно изживяване, ще получите персонален консултант, съдействие при кандидатстване за кредит от всички банки в България, интериорни дизайнери и екип, който да се погрижи за нужните документи по Вашата сделка. На Ваше разположение сме всеки ден, от понеделник до неделя от 09:00 до 20:00ч. Възползвайте се от безплатна консултация в наш офис, където ще ви спестим време и ще ви запознаем с всички актуални имоти в България, отговарящи на Вашето търсене. Свържете се с нас на 0887 77 99 90 или на 0884 06 09 90 и цитирайте кода към имота:65034
За контакт:
0887 77 99 90
Агенция:
ЕКС НВД ПЛОВДИВ ООД
0887779990
ЕКС НВД ПЛОВДИВ ООД logo
В imot.bg от 2023 г.
xnvd_plovdiv.imot.bg
Адрес:
област Пловдив, гр. Пловдив, бул. Мария Луиза 43 А
ИЗПРАТИ ЗАПИТВАНЕ
ИЗПРАТИ ЗАПИТВАНЕТО

Продава ЗЕМЕДЕЛСКА ЗЕМЯ
област Пловдив, гр. Куклен
Обява: 1s173453677059625

873 510 €
1 708 437.06 лв.
История на цената
(54 594 €, 106 776.58 лв./дка)

Цената е с включено ДДС
ЗАПАЗИ ОБЯВАТА

Местоположение: област Пловдив, гр. Куклен